Cari lettori
Nella giornata di ieri 10.12.2021, in un contesto notturno, si è verificato uno storico outbreak di tornado, in condizioni di energia disponibile per la convezione e shear direzionale davvero insoliti per la stagione invernale.
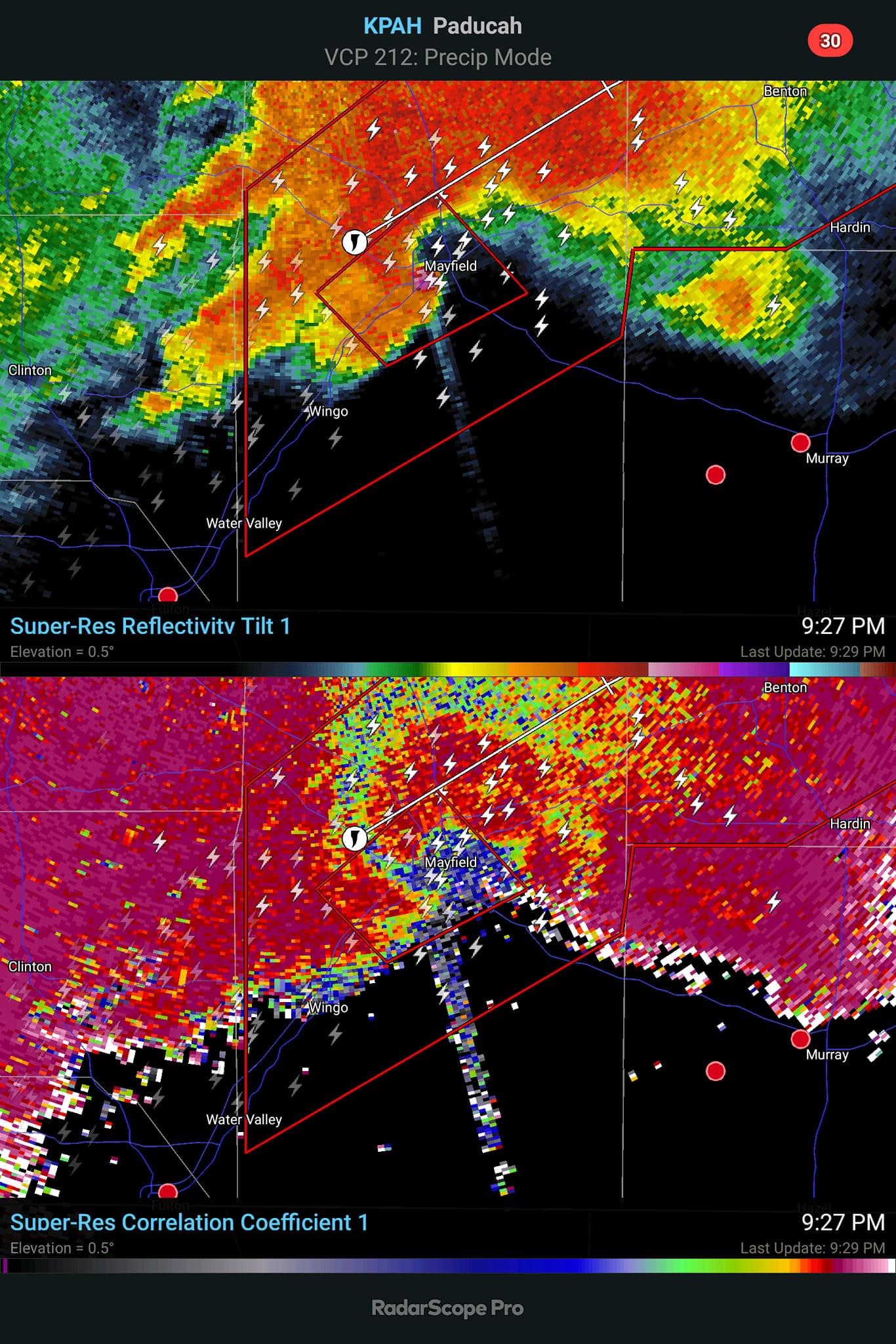
I dati sono ancora preliminari ma numerosi wedge tornado di scala violenta si sono abbattuti tra Arkansas, Missouri e Kentucky provocando almeno 80 morti, ma con un bilancio ancora provvisorio. Le operazioni di soccorso sin stanno svolgendo proprio in questi minuti, e in diverse cittadine rurali americane si sono verificati danni incalcolabili al momento.
l governatore del Kentucky Andy Beshear, da Mayfield , una cittadina presa in pieno da un wedge, afferma che è “probabile” che più di 70-100 persone siano morte a causa di tornado nel Kentucky occidentale o “significativamente a nord di quello”.
“Sì, temo che ci siano più di 50 morti”, ha detto. “Sta arrivando la conferma da ogni individuo. Sarà più vicino a 70 e 100. È devastante. C’erano quattro tornado, uno dei quali era il tornado di 200 miglia. Il più lungo era un tornado di 227 miglia che è atterrato ed è rimasto giù per quel periodo di tempo.







Lascia un commento